发动机舱作为动力系统的核心区域,其散热性能直接影响整机运行的可靠性、效率与寿命。在传统设计流程中,工程师多依赖仿真软件与点式测温工具进行热分析,存在数据不全面、验证周期长、难以捕捉瞬态与局部过热等问题。红外热像仪通过非接触式、全场测温技术,为发动机舱的散热设计与优化提供了高效、精确的实测手段,显著提升了研发效率与设计可靠性。

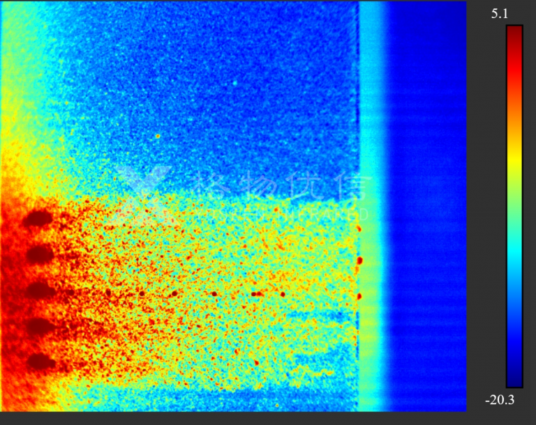
红外热像仪能把物体表面不可见的红外辐射转化为清晰的热图像,让工程师对整个发动机舱的温度分布一目了然。无论是发动机、排气管、涡轮增压器,还是散热器、中冷器以及周边的线束和传感器,所有部件的热状态都可以在运行过程中被实时捕捉。高温区域、热量堆积点、散热路径的走向,全都直观呈现出来,不再是单点测温时的“盲人摸象”。配合定量分析,工程师还能获取关键部位的具体温度值,进行温差对比和趋势记录,为散热方案的调整提供可靠的数据支撑。而在发动机启动、变载或停机这类瞬态工况下,高帧频热像仪更能精准捕捉到温度的变化过程,帮助快速发现冷却液循环不畅、隔热材料失效或气流组织不合理等问题。
在实际研发流程中,红外热像仪可以在多个阶段发挥作用。概念设计阶段,通过对原理样机的测试,获取真实的边界条件和热环境数据,帮助校准CFD仿真模型,让仿真更贴近实际,减少后续反复调整的时间。进入详细设计阶段,热像仪又能配合气流可视化手段,比如烟雾发生器,观察舱内冷却气流的实际走向,验证导流罩、格栅、风扇等部件是否达到预期效果。同时,高温部件对周围电子元件的热辐射影响也能被直接评估,为隔热设计和布局优化提供依据。到了样机测试和故障排查阶段,热像仪则成为系统验证的得力工具,快速锁定过热根源,比如风扇失效、管路堵塞或者接触热阻过大等问题,大幅缩短问题处理周期。
针对发动机舱研发中对精度和稳定性的高要求,像格物优信系列科研级红外热像仪这样的专业工具,可以提供更加可靠的实测支持。高灵敏度探测器能够清晰捕捉微小的温差变化,哪怕是细微的热点也不会被忽略;高分辨率和快速响应的特性,则让密集部件和动态过程都能被精准记录。配套的分析软件还支持点、线、区域等多维度的温度分析,能生成趋势曲线和测试报告,甚至与CAD图纸叠加对比,方便设计人员直接参考。此外,设备本身的工业级设计和二次开发能力,也为长时间、自动化测试提供了可能。

将红外热像仪,特别是如格物优信科研热像仪这类高性能实测工具,真正融入发动机舱散热设计的各个环节,研发团队就能够在设计早期获得真实热数据,及时验证和优化方案,减少试制和返工成本,也让散热设计更加科学、可靠。在动力系统日益追求高效和紧凑的趋势下,这项技术正在成为热管理能力提升的关键一环。






